33 Meldungsverwaltung
33.1 Meldungsverwaltung
Um den Melde- und Übermittlungsverzug zu verkürzen und den Aufwand bei der Eingabe von Fallinformationen zu reduzieren, wurde, im Zuge der COVID-19-Pandemie, die elektronische Labormeldung von SARS-CoV-2-Erregernachweisen eingeführt. Die sichere Nutzung durch Labore und Gesundheitsämter (GÄ) setzt die Verwendung von Zertifikaten bei der Kommunikation zwischen Melder und Gesundheitsamt voraus. Näheres zur Registrierung für den Empfang der elektronischen Meldung -demis (Registrierung für den Empfang elektronischer Labormeldungen).
Die Meldungsverwaltung lässt sich über die gleichnamige Schaltfläche im Startmenü öffnen.
33.1.1 Aufbau der Meldungsverwaltung
Die Meldungsverwaltung wird in der Datenblattansicht angezeigt und bietet drei getrennte Ansichten (Abb. 3.4.1), zwischen denen über die gleichnamigen Schaltflächen am linken Rand beliebig gewechselt werden kann:
Meldungseingang
Importierte Meldungen
Meine Meldungen
Im Meldungseingang werden alle elektronischen Meldungen (xml-Dateien), für die der Web-service Ihr Gesundheitsamt als Empfänger identifiziert hat und die noch nicht importiert bzw. gelöscht wurden, angezeigt. Der Meldungseingang aktualisiert sich beim Öffnen der Meldungsverwaltung eigenständig.
⇨Um Meldungen, die nach Öffnen der Meldungsverwaltung neu eingehen anzuzeigen, betätigen Sie bitte die Schaltfläche Meldungseingang aktualisieren am rechten Rand.

TIPP: Die Spaltenbreite, wie auch die Position der einzelnen Spalten lässt sich durch ‚Drag and Drop’ anpassen. Die gewählte Nutzer-Ansicht bleibt bis zu einer weiteren Änderung erhalten.
33.1.2 Anzeige einer elektronischen Meldung
Bevor Sie eine elektronische Meldung zur weiteren Bearbeitung importieren, können Sie sich den Inhalt der Meldung anzeigen lassen und überprüfen. Betätigen Sie dazu die Schaltfläche Meldung anzeigen am linken Rand des jeweiligen Listeneintrags im Meldungseingang.
Es öffnet sich der formatierte Text der eingegangenen Meldung (Abb. 3.4.2):

In der rot unterlegten Zusammenfassung werden die wesentlichen Aspekte der Untersuchungsergebnisse dargestellt. Adress-Informationen zur betroffenen Person, zum Melder und zum Auftraggeber der Untersuchung (Einsender) finden sich in der Übersicht. Nach Rechtsklick auf die geöffnete Meldung, kann diese über das Kontext-Menü (Abb. 3.4.2) ausgedruckt werden, ggf. auch in ein PDF.
33.1.3 Import einer elektronischen Meldung
Nachdem Sie sich vergewissert haben, dass es sich bei der Meldung tatsächlich um einen meldepflichtigen Sachverhalt handelt, der in Ihren Zuständigkeitsbereich fällt, importieren Sie die Meldung durch Klick auf die Schaltfläche Meldung importieren
Nach dem Import einer elektronischen Meldung (xml) liegt diese als Meldungs-Datensatz (mit Aktenzeichen notify..) in der lokalen Datenbank vor. Mit dem Import durch einen registrierten Nutzer wird dieser zunächst als ‚zuständiger Bearbeiter’ für die Meldung festgehalten. Alle Meldungen, für die ein Nutzer als zuständig eingetragen ist, werden in dessen Liste ‚Eigene Meldungen’ angezeigt.

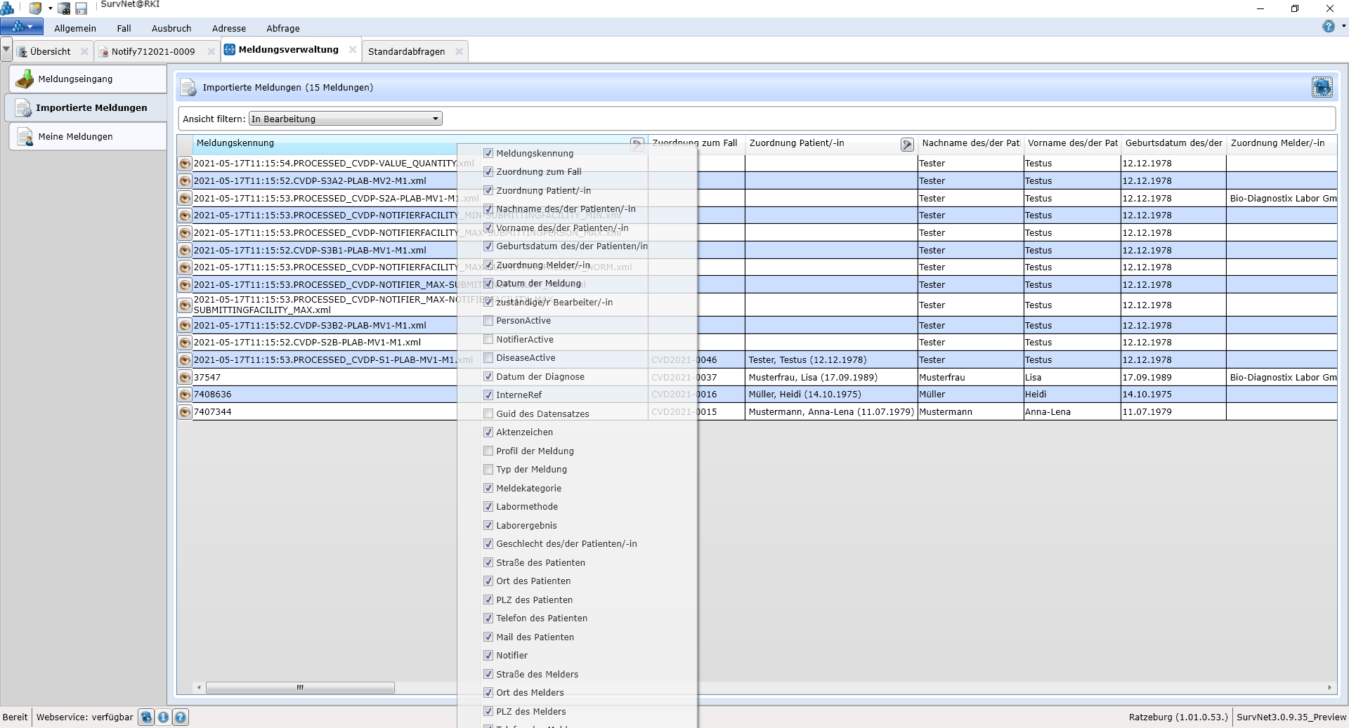
Über die Schaltfläche Ansicht filtern können entweder alle importierten Meldungen, oder die 100 zuletzt importierten, oder nur die Meldungen ohne Fallbezug dargestellt werden. Die Spaltenbreite und Reihenfolge der Spalten beider Ansichten lässt sich durch ‚Drag and Drop’ verändern. Durch Rechtsklick auf die Überschriftenzeile wird die Spaltenauswahl eingeblendet (Abb. 3.4.3). Nach An- oder Abwahl weiterer Spalten zur Anzeige bleibt die gewählte Nutzer-Ansicht bis zur weiteren Änderung erhalten.
Durch Doppelklick auf einen Datensatz in der Liste der importierten Meldungen (Abb.3.4.3) oder der Liste ‚Meine Meldungen’ öffnet sich das Meldungs-Datenblatt (Abb. 3.4.4).
33.1.4 Aufbau des Meldungs-Datenblattes
Das Meldungs-Datenblatt gliedert sich in folgende Abschnitte (Fenster):
| Spalte 1 | Spalte 2 |
|---|---|
Meldungsübersicht |
Informationen zum Meldenden |
Annotationen Patientin |
Informationen zum Patienten/ zur |
Protokoll |
Informationen zum Einsender |
Zuordnung Zusätzliche Eigenschaften |
Informationen zum Fall |
Als Beschriftung wird im Reiter eines geöffneten Meldungs-Datenblattes das Aktenzeichen der Meldung verwendet. Dieses wird beim Generieren aus der elektronischen Meldung automatisch (siehe 3.1.2) vergeben.
Datum der Meldung und Datum der Diagnose werden im Abschnitt
Zuordnung angezeigt. Angaben zum meldenden Labor finden sich im Abschnitt
Informationen zum Meldenden, Details zur betroffenen Person im Abschnitt
Informationen zum Patienten/zur Patientin und Angaben zum Auftraggeber der Untersuchung im Abschnitt
Informationen zum Einsender. Die Angaben zum nachgewiesenen Erreger, den eingesetzten Nachweismethoden, sowie das Ergebnis der Untersuchung enthält der Abschnitt
Informationen zum Fall.

33.1.5 Bearbeitung der Meldung
Im Nachfolgenden werden die einzelnen Schritte der Meldungsbearbeitung und die Abschnitte des Meldungs-Datenblattes erläutert. Bevor aus einer Meldung ein neuer Fall erzeugt wird, muss überprüft werden, ob das meldende Labor und/oder der Patienten/die Patientin und ggf. auch ein zugehöriger Fall bereits in der lokalen Datenbank erfasst sind.
Zuordnung
Unter dem automatisch generierten Aktenzeichen der Meldung wird die Person, die die Meldung importiert hat als zuständiger Bearbeiter angezeigt. Um den Eintrag zu ändern,
- klicken Sie auf die Anzeige und wählen Sie einen anderen Mitarbeiter aus.
Zusätzlich zum Datum der Meldung und der Diagnose und einigen technischen Details zur Meldung wird die Meldungskennung, d.h. der Name der importierten Meldungsdatei im xml-Format angezeigt. Diese kann über die Schaltfläche Meldung anzeigen geöffnet werden (Näheres unter -meldungsanzeige). Die Schaltfläche Meldung
speichern, ermöglicht das Speichern der xml-Datei zur (verschlüsselten) Weiterleitung per eMail an ein anderes GA.
Da zeitversetzte Untersuchungen an einer Probe, mehrere meldepflichtige Ergebnisse liefern können, gehen i.d.R. mehrere Meldungen zu einem Fall ein. Nur, wenn im Status der Meldung final steht, kann davon ausgegangen werden, dass keine weiteren Untersuchungsergebnisse gemeldet werden. Auf bereits importierte Meldungen, die der aktuellen Meldung vorausgehen/ folgen, wird ggf. im Feld Verwandte Meldungen hingewiesen. Wurde aufgrund einer vorausgehenden Meldung bereits ein Fall angelegt, so kann die aktuelle Meldung mit dem bereits existierenden Fall über die Schaltfläche
Zuordnen zu einem Fall verknüpft werden
Informationen zum Meldenden
Damit der Melder im Gesundheitsamt auch im verknüpften Fall (in der Liste der Meldungen) angezeigt wird, sollte die Zuordnung der Meldung zu einem Einrichtungs-Datensatz vorgenommen werden. Wenn alle eingehenden Meldungen bzgl. ihrer meldenden Einrichtung erfasst werden, kann zudem im Gesundheitsamt ausgewertet werden, wie viele Meldungen aus welchem Labor bearbeitet wurden.
Um zu überprüfen, ob das meldende Labor bereits in der lokalen Datenbank vorhanden ist,
betätigen Sie die die Schaltfläche
am rechten Rand des Feldes Zuordnung Melder.Es öffnet sich die Suche nach Einrichtungen. Im Suchtext steht der Name des Labors aus der Meldung.
- Starten Sie die
Suche
Erscheint das Labor aus der Meldung in Ihrem Suchergebnis
Markieren Sie das passende Labor und bestätigen Sie die Auswahl mit
Im Feld Zuordnung Melder des Meldungs-Datenblattes erscheint der Verknüpfung zum meldenden Labor, dessen Adress-Datenblatt durch Klick auf den Namen geöffnet werden kann.
Liefert die Suche keinen Treffer, kann für das meldende Labor ein neuer Adress-Datensatz angelegt werden. Gehen Sie dazu wie folgt vor:
- betätigen Sie die die Schaltfläche
am rechten Rand des Feldes Zuordnung Melder.
Es erscheint ein Datenblatt für die Erfassung von Einrichtungsadressen -personenverwaltung.
Die Angaben aus der elektronischen Meldung zum Melder sind übernommen. Als Einrichtungstyp wird der Adresse ‚meldendes Labor’ beigefügt.
Speichern Sie den neuen Adress-Datensatz.Im Feld Zuordnung Melder des Meldungs-Datenblattes erscheint die Verknüpfung zum neu angelegten meldenden Labor, dessen Adress-Datenblatt durch Klick auf den Namen geöffnet werden kann.
Informationen zum Einsender
Damit im Gesundheitsamt der Auftraggeber der Untersuchung (meist der behandelnde Arzt) auch im zugehörigen Fall in der Liste der Meldungen zu sehen ist, sollte der Einsender erfasst und mit der Meldung verknüpft werden. Die Kontaktaufnahme mit dem Einsender kann dann aus dem Fall heraus erfolgen
Um zu überprüfen, ob der Einsender bereits in der lokalen Datenbank vorhanden ist,
betätigen Sie die die Schaltfläche
am rechten Rand des Feldes Zuordnung Melder.Es öffnet sich die Suche nach Einrichtungen. Im Suchtext steht der Name des Einsenders aus der Meldung.
- Starten Sie die
Suche
Erscheint der in der Meldung angegebene Einsender in Ihrem Suchergebnis
Markieren Sie den passenden Adress-Datensatz und bestätigen Sie die Auswahl mit
Im Feld Zuordnung Einsender des Meldungs-Datenblattes erscheint die Verknüpfung zum Einsender, dessen Adress-Datenblatt durch Klick auf den Namen geöffnet werden kann.
Liefert die Suche keinen Treffer, kann für den Einsender ein neuer Adress-Datensatz angelegt werden. Gehen Sie dazu wie folgt vor:
- betätigen Sie die die Schaltfläche
am rechten Rand des Feldes Zuordnung Einsender.
Es erscheint ein Datenblatt für die Erfassung von Einrichtungsadressen -personenverwaltung.
Die Angaben aus der elektronischen Meldung zum Melder sind übernommen. Der Adresse wird als Einrichtungstyp ‚Med. Behandlungseinrichtung’ beigefügt.
Speichern Sie den neuen Adress-Datensatz.Im Feld Zuordnung Einsender des Meldungs-Datenblattes erscheint die Verknüpfung zum neu angelegten meldenden Labor, dessen Adress-Datenblatt durch Klick auf den Namen geöffnet werden kann.
Informationen zum Patienten/zur Patientin
Um zu überprüfen, ob die betroffene Person bereits in der lokalen Datenbank erfasst wurde,
betätigen Sie die die Schaltfläche
am rechten Rand des Feldes Zuordnung Patient/in.Es öffnet sich die Personen-Suche. In den Filtereinstellungen sind Vor- und Nachname sowie das Geburtsdatum der Patientin/des Patienten aus der Meldung eingetragen.
- Starten Sie die
Suche.
Liefert die Suche keinen Treffer, kann für die betroffene Person ein neuer Adress-Datensatz angelegt werden. Gehen Sie dazu wie folgt vor:
Schließen Sie das Suchfenster
Im Meldungs-Datenblatt betätigen Sie die die Schaltfläche
am rechten Rand des Feldes Zuordnung Patient/in.Es erscheint ein Datenblatt für die Erfassung von Personenadressen -personenverwaltung.
Darin sind die Angaben aus der elektronischen Meldung zum Patienten bereits übernommen.
Speichern Sie den neuen Adress-Datensatz.Im Feld Zuordnung Melder des Meldungs-Datenblattes erscheint eine Verknüpfung zur neu angelegten Person, deren Adress-Datenblatt durch Klick auf den angezeigten Namen geöffnet werden kann.
Erscheint die gesuchte Person aus der Meldung in Ihrem Suchergebnis
Markieren Sie den passenden Eintrag und bestätigen Sie die Auswahl mit
Im Feld Zuordnung Patient/in des Meldungs-Datenblattes erscheint die Verknüpfung zum vorhandenen Personen-Datensatz.
Um zu überprüfen, ob für die in der Datenbank vorhandene Person bereits ein Fall zur Kategorie der elektronischen Labormeldung angelegt ist
Klicken auf die Verknüpfung im Feld Zuordnung Patient/in
Es öffnet Sich das Personen-Datenblatt
Im Abschnitt Verknüpfungen des Personen-Datenblattes suchen Sie nach einem Eintrag vom Typ Patient/in, dessen Übermittlungskategorie zur Kategorie der Labormeldung passt und notieren Sie sich ggf. das Aktenzeichen des Falles.
33.1.6 Erzeugen eines Falles aus dem Meldungsdatensatz
Sie haben sich überzeugt, dass die betroffene Person noch nicht in der Datenbank vorhanden ist, oder, sofern ein Personendatensatz zur betroffenen Person vorliegt, dass für diese nicht bereits aufgrund einer zuvor eingegangenen Meldung ein Fall angelegt wurde, den die elektronische Meldung ergänzt.
Betätigen Sie die Schaltfläche
Meldung einem neuen Fall zuordnen am rechten Rand des Feldes Zugehörigkeit zum Fall.Es öffnet sich der Dialog Auswahl, mit der zur Meldung passenden Datensatzkategorie.
Bestätigen Sie die Auswahl mit
Es öffnet sich ein Fall-Datenblatt in dem alle Angaben aus der elektronischen Meldung übernommen wurden.
Speichern Sie den neuen Fall-Datensatz.
33.1.7 Ergänzung eines bereits vorhandenen Falles
Lag zum Patienten/zur Patientin bereits ein zur Kategorie der elektronischen Labormeldung passender Fall-Datensatz vor
betätigen Sie die Schaltfläche
Meldung einem vorhandenen Fall zuordnen am rechten Rand des Feldes Zugehörigkeit zum Fall.Es öffnet sich die Fall-Suche.
Tragen Sie im Feld Suchtext das Aktenzeichen, das Sie notiert haben (Kapitel 33.1.5) ein.
Setzen Sie unter Suche nach ein Häkchen bei Aktenzeichen
alternativ:
Tragen Sie im Feld Suchtext den Namen des Patienten/der Patientin ein.
Setzen Sie unter Suche nach ein Häkchen bei Patient/in.
Starten Sie die
Suche.Markieren Sie den passenden Fall und
Bestätigen Sie die Auswahl mit
Es öffnet sich das Datenblatt des bereits vorhandenen Falles. Im Abschnitt Zuordnung ist die elektronische Meldung in der Liste der Meldungen eingetragen. Durch Doppelklick auf den Eintrag lässt sich das zugehörige Meldungs-Datenblatt öffnen.
⇨Durch sog. ‚Matching’ werden die in der elektronischen Meldung hinterlegten LOINC und SNOMED-Codes in Inhalte des Fall-Datenblattes übersetzt. Die Vollständigkeit und Richtigkeit der Übernahme in den neu angelegten, oder ergänzten Fall sollte immer geprüft werden.
Zusätzliche Eigenschaften